幸福丸
大漁✨⤴️
NEW! 2018-03-02 18:59:37
昨日までの大時化も一転、
今日はいい釣り日和でした。
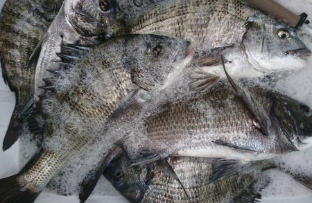
勿論❗チヌ釣れてましたよ
沢山・大漁・️ほど?
二桁安打もかなりいらっしゃいます。
トータルでは
50枚以上釣れてました。
レンタルボートのお客様も、
ガラカブなど、釣られてました。
今日は、初めてレンタルボートを、利用するというお客様でしたが、
「快適で凄く良かった。」
と言って頂きました。✌️
皆さんお疲れ様でした。




















