濱田渡船
2018年 02月 22日
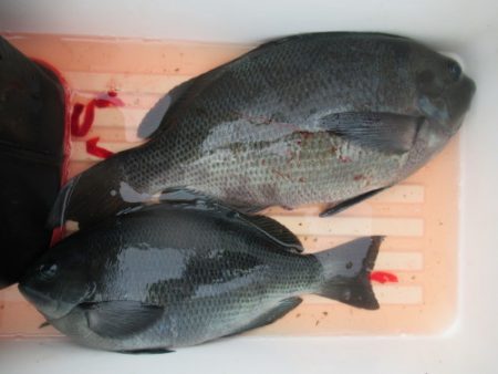
今日の釣果
岡山県 中田さん 良型グレ
香川県 村川さん 真鯛 60cm 良型グレ
砥部町 佐川さん 良型グレ
岡山県 粟井さん 良型グレ 44cm~
ありがとうございました
風は強かったですね それに釣果のほうが 全体的に厳しいです
早く暖かくなると良いのになぁ まめ吉
出船時間は AM6:15 です よろしくお願いします
※現地に釣り禁止の看板のある場所や、釣り禁止エリアでの釣行、路上駐車・ゴミ放置などの迷惑行為はお控え下さい。
※釣行の際は、必ずライフジャケットを着用下さい。
2018-02-22
日中
--
寒い
小潮
グレ(メジナ)
フカセ釣り
2018年 02月 22日
今日の釣果
岡山県 中田さん 良型グレ
香川県 村川さん 真鯛 60cm 良型グレ
砥部町 佐川さん 良型グレ
岡山県 粟井さん 良型グレ 44cm~
ありがとうございました
風は強かったですね それに釣果のほうが 全体的に厳しいです
早く暖かくなると良いのになぁ まめ吉
出船時間は AM6:15 です よろしくお願いします