大幸丸
2月14日
12番クジ
1番
フカセ
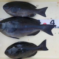
グレ 32〜41cm
3枚
淡路
弦牧さん
上り潮
14,2度
※現地に釣り禁止の看板のある場所や、釣り禁止エリアでの釣行、路上駐車・ゴミ放置などの迷惑行為はお控え下さい。
※釣行の際は、必ずライフジャケットを着用下さい。
2018-02-14
日中
--
--
大潮
グレ(メジナ)
フカセ釣り
2月14日
12番クジ
1番
フカセ
グレ 32〜41cm
3枚
淡路
弦牧さん
上り潮
14,2度