大幸丸
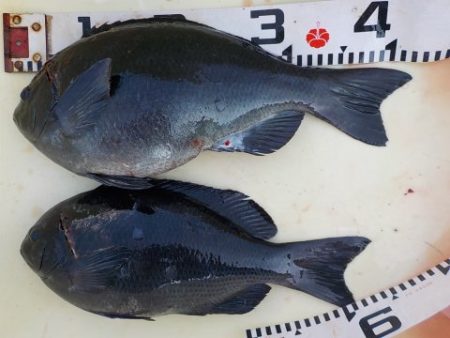
2月8日
4番クジ
ウマノセ
フカセ
グレ 31〜48cm
5枚
淡路
弦牧さん
上り気味
14,7度
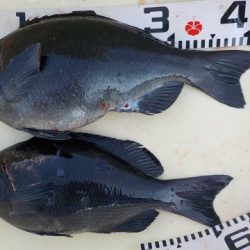
タワラ
グレ 38〜42cm
2枚
小松島
長野さん
※現地に釣り禁止の看板のある場所や、釣り禁止エリアでの釣行、路上駐車・ゴミ放置などの迷惑行為はお控え下さい。
※釣行の際は、必ずライフジャケットを着用下さい。
2018-02-08
日中
--
--
小潮
グレ(メジナ)
フカセ釣り
2月8日
4番クジ
ウマノセ
フカセ
グレ 31〜48cm
5枚
淡路
弦牧さん
上り気味
14,7度
タワラ
グレ 38〜42cm
2枚
小松島
長野さん