夜ご飯
今日も近所にデイチニングです
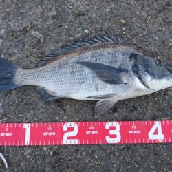
テッパン縛りですが、ほぼ攻略できたのでボトム中心に攻めて3枚確保。
※現地に釣り禁止の看板のある場所や、釣り禁止エリアでの釣行、路上駐車・ゴミ放置などの迷惑行為はお控え下さい。
※釣行の際は、必ずライフジャケットを着用下さい。
2018/2/7
昼
晴れ
寒い