大幸丸
1月30日
7番クジ
カナワ
フカセ
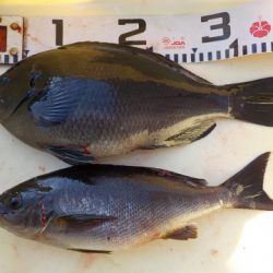
グレ 37cm
1枚
イサギ 34cm
1枚
曙潮クラブ
岡田さん
上り潮
表周り
12,7
〜
14,2度
※現地に釣り禁止の看板のある場所や、釣り禁止エリアでの釣行、路上駐車・ゴミ放置などの迷惑行為はお控え下さい。
※釣行の際は、必ずライフジャケットを着用下さい。
2018-01-30
--
--
--
イサキ,グレ(メジナ)
フカセ釣り
1月30日
7番クジ
カナワ
フカセ
グレ 37cm
1枚
イサギ 34cm
1枚
曙潮クラブ
岡田さん
上り潮
表周り
12,7
〜
14,2度