大幸丸
1月28日
7番クジ
カナワ
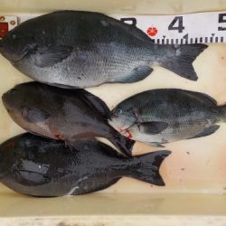
グレ 33〜40cm
7枚
姫路
橋本さん
上り潮
表周り
15,2
〜
15,6度
バッタリ
グレ 32〜45cm
4枚
巧手会
坂東さん
※現地に釣り禁止の看板のある場所や、釣り禁止エリアでの釣行、路上駐車・ゴミ放置などの迷惑行為はお控え下さい。
※釣行の際は、必ずライフジャケットを着用下さい。
2018-01-28
--
--
寒い
中潮
グレ(メジナ)
フカセ釣り
1月28日
7番クジ
カナワ
グレ 33〜40cm
7枚
姫路
橋本さん
上り潮
表周り
15,2
〜
15,6度
バッタリ
グレ 32〜45cm
4枚
巧手会
坂東さん