鵜来島家本渡船
1月21日チョボで又もや尾長グレ*(^o^)/*
🎣大阪はあしか釣りクラブメンバー池本さん、連日のスマッシュヒット⚾️‼️🤗
釣行の度に、釣果率ほぼ100%?(笑)
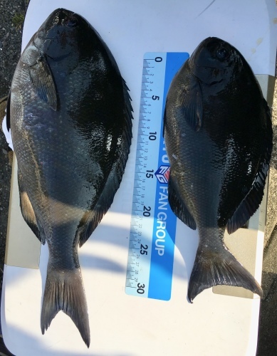
チョボは此の所、尾長活況*(^o^)/*実寸以上の、尾長ならでは迫力‼️
他にも
あしか釣りクラブの皆様、是非またのお越しをお待ちしています🙇♀️




























