寿丸
2018年1月20日 釣果情報
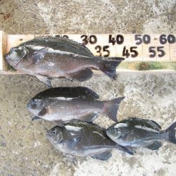
※2018年1月20日釣果情報 濵﨑さん 【G】ポイント瀬で、クチブトクロ43㎝、40,5㎝、40㎝3枚、38,5㎝、37㎝を、フカセ釣りで釣られたそうです。その他、35㎝級10匹ぐらい釣られたそうですがリリースされたそうです。尚、釣られたお魚お裾分け頂きました、ありがとうございました。 クチブトクロ43㎝頭に40㎝超え5枚、お見事でした。 下釜さん 【C】ポイント瀬で、クチブトクロ44㎝、38㎝、34㎝を、フカセ釣りで釣られたそうです。その他、31㎝~32㎝級も沢山釣られてました。尚、釣られたお魚お裾分け頂きました、ありがとうございました。 クチブトクロ44㎝、お見事でした。 八木さん 【I】ポイント瀬で、クチブトクロ43,5㎝、39,5㎝、37,5㎝、30㎝を、フカセ釣りで釣られたそうです。尚、釣られたお魚お裾分け頂きました、ありがとうございました。 クチブトクロ43,5㎝、お見事でした。 中村さん 【J】ポイント瀬で、クチブトクロ43㎝、39㎝、36㎝2枚を、フカセ釣りで釣られたそうです。尚、昨日、今日、釣られたお魚お裾分け頂きました、ありがとうございました。 クチブトクロ43㎝、お見事でした。 鳥嶋さん 【M】ポイント瀬で、クチブトクロ40㎝、37㎝2枚、35㎝、34㎝、32㎝、カワハギを、フカセ釣りで釣られたそうです。尚、釣られたお魚お裾分け頂きました、ありがとうございました。 クチブトクロ43,5㎝、お見事でした。 北菊永さん 【A】ポイント瀬で、チヌ44㎝、クチブトクロ40,5㎝、40㎝、38,5㎝、33㎝~31㎝、カワハギを、フカセ釣りでを釣られたそうです。 チヌ44㎝、クチブトクロ40,5㎝、40㎝、お見事でした。 前嶌さん 【D】ポイント瀬で、クチブトクロ40㎝を、フカセ釣りでを釣られたそうです。その他、33㎝級も釣られてました。 クチブトクロ40㎝、お見事でした。 写真は、ご遠慮しますとの事でしたので、コメントだけ記載します。 【J・L】ポイント瀬で、クチブトクロ40㎝~43㎝級頭に、37~35㎝級を、釣られたそうです。 その他の磯瀬では、フカセ釣りのお客様は、小鯛、チヌ50㎝級、クチブトクロ39,5㎝、39㎝、36㎝~34㎝級を釣られたそうです。尚、良型クチブトクロ【40㎝超え・・・ 50㎝級も・・・】数回ヒットしたそうなのですが、すっぽ抜け、ライン瀬ズレで残念ながらバラシたそうです。次回、リベンジ、頑張られてください 良型真鯛【Kポイント瀬で70㎝超え・・・】すっぽ抜け、で残念ながらバラシたそうです。次回、リベンジ、頑張られてください 正午、正午過ぎ、最終まで皆さんお疲れ様でした。




























