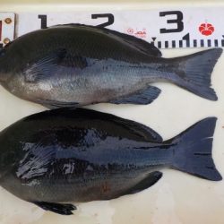
大幸丸
1月19日
5番クジ
ヒジカケ
フカセ
グレ 31〜37cm
2枚
イサギ 30〜35cm
3枚
淡路
野口さん
上り潮
表周り
14,0
〜
15,5度
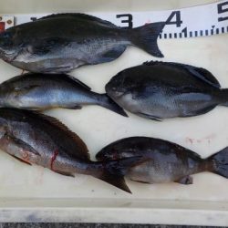
まっちゃん
バエ
グレ 34〜37cm
3枚
イサギ 33cm
1枚
姫路
橋本さん
7番クジ
ゲンロク
グレ 35〜35cm
2枚
淡路
弦牧さん
※現地に釣り禁止の看板のある場所や、釣り禁止エリアでの釣行、路上駐車・ゴミ放置などの迷惑行為はお控え下さい。
※釣行の際は、必ずライフジャケットを着用下さい。
2018-01-19
日中
--
--
中潮
イサキ,グレ(メジナ)
フカセ釣り
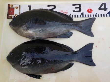
1月19日
5番クジ
ヒジカケ
フカセ
グレ 31〜37cm
2枚
イサギ 30〜35cm
3枚
淡路
野口さん
上り潮
表周り
14,0
〜
15,5度
まっちゃん
バエ
グレ 34〜37cm
3枚
イサギ 33cm
1枚
姫路
橋本さん
7番クジ
ゲンロク
グレ 35〜35cm
2枚
淡路
弦牧さん