大幸丸
1月13日
4番クジ
ウマノセ
フカセ
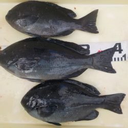
グレ 48cm
1枚
チーム8番
加藤さん
上り気味
15,6
〜
16,0度
タワラ
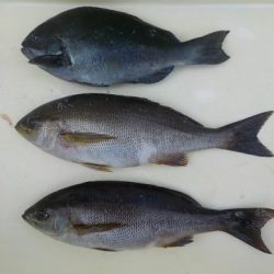
グレ 33〜38cm
3枚
徳島EFC
田中さん
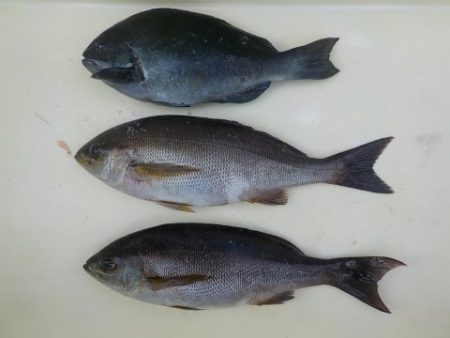
グレ 31〜40cm
3枚
イサギ 33cm
1枚
谷さん
ホリモン
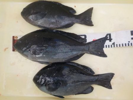
グレ 28cm
1枚
イサギ 33〜34cm
2枚
徳島
末広さん
※現地に釣り禁止の看板のある場所や、釣り禁止エリアでの釣行、路上駐車・ゴミ放置などの迷惑行為はお控え下さい。
※釣行の際は、必ずライフジャケットを着用下さい。
2018-01-13
日中
--
--
中潮
イサキ,グレ(メジナ)
フカセ釣り
1月13日
4番クジ
ウマノセ
フカセ
グレ 48cm
1枚
チーム8番
加藤さん
上り気味
15,6
〜
16,0度
タワラ
グレ 33〜38cm
3枚
徳島EFC
田中さん
グレ 31〜40cm
3枚
イサギ 33cm
1枚
谷さん
ホリモン
グレ 28cm
1枚
イサギ 33〜34cm
2枚
徳島
末広さん