大幸丸
1月12日
10番クジ
ナデ
フカセ
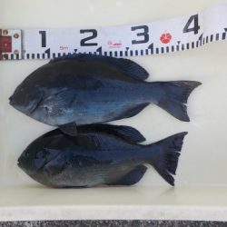
グレ 35〜38cm
2枚
匿名さん
上り潮
15,7
〜
16,0度
※現地に釣り禁止の看板のある場所や、釣り禁止エリアでの釣行、路上駐車・ゴミ放置などの迷惑行為はお控え下さい。
※釣行の際は、必ずライフジャケットを着用下さい。
2018-01-12
日中
--
--
小潮
グレ(メジナ)
フカセ釣り
1月12日
10番クジ
ナデ
フカセ
グレ 35〜38cm
2枚
匿名さん
上り潮
15,7
〜
16,0度