濱田渡船
2018年 01月 07日
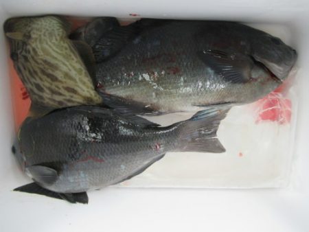
今日の釣果
岡山県 児玉さん 良型グレ 良型イサキ
岡山県 溝口さん 良型グレ
香川県 木村さん 良型グレ
四国中央市 広田さん 良型真鯛 ヤズ グレ
愛南町 長田さん 良型グレ イサキ
徳島県 斉藤さん 良型グレ
岡山県 香西さん 良型グレ
岡山県 小野さん 良型グレ 50cm~
高知県 杉本さん 良型グレ
次男 良型グレ 51cm~ 石鯛
ありがとうございました
天気は良かったですが 釣果のほうボツボツでした
来週は天気が悪い日が続きそうです・・・
ひさしぶりに散歩してます きぃちゃん




































