大幸丸
1月4日
4番クジ
ウマノセ
フカセ
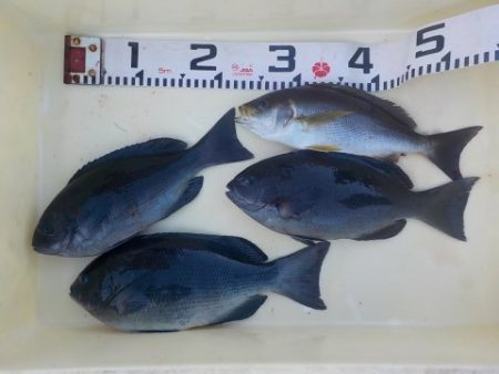
グレ 34〜34cm
4枚
姫路
松原さん
速い
上り潮
17,0
〜
17,6度
タワラ
グレ 32〜50cm
2枚
姫路
木下さん
グレ 32〜38cm
4枚
イサギ 33cm
1枚
姫路
尾上さん
グレ 32〜40cm
8枚
姫路
匿名さん
8番クジ
ヒッツキ
グレ 32〜35cm
3枚
黒闘会
嶋崎さん
グレ 32〜35cm
3枚
黒闘会
毛馬さん


























