大幸丸
12月27日
3番クジ
ピストル
フカセ
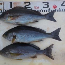
グレ 33cm
1枚
イサギ 33〜34cm
3枚
淡路
弦牧さん
上り潮
17,0
〜
16,8度
沖ソエ
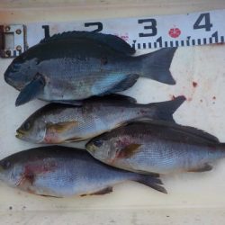
グレ 33〜36cm
3枚
イサギ 32〜34cm
2枚
海正クラブ
津田さん
センコウテイ
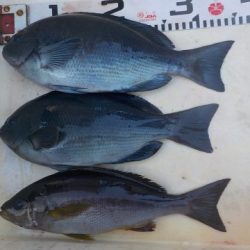
グレ 34〜35cm
2枚
イサギ 34cm
1枚
チーム8番
加藤さん
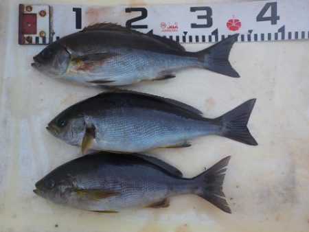
地ソエ
イサギ 31〜33cm
3枚
チームエコ
太尾さん
※現地に釣り禁止の看板のある場所や、釣り禁止エリアでの釣行、路上駐車・ゴミ放置などの迷惑行為はお控え下さい。
※釣行の際は、必ずライフジャケットを着用下さい。
2017-12-27
日中
--
--
長潮
イサキ,グレ(メジナ)
フカセ釣り
12月27日
3番クジ
ピストル
フカセ
グレ 33cm
1枚
イサギ 33〜34cm
3枚
淡路
弦牧さん
上り潮
17,0
〜
16,8度
沖ソエ
グレ 33〜36cm
3枚
イサギ 32〜34cm
2枚
海正クラブ
津田さん
センコウテイ
グレ 34〜35cm
2枚
イサギ 34cm
1枚
チーム8番
加藤さん
地ソエ
イサギ 31〜33cm
3枚
チームエコ
太尾さん