大幸丸
月日
釣り場
仕掛け
釣果
釣り人
潮流
水温
12月21日
3番クジ
タニ
フカセ
グレ 30cm
1枚
加古川
藤本さん
上り潮
〜
止まる
17,8
〜
17,4度
11番クジ
オオバエ
東
グレ 35cm
1枚
日和佐
林田さん
昼〜
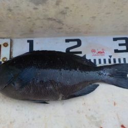
15番クジ
タドコロ
グレ 33〜34cm
2枚
淡路
弦牧さん
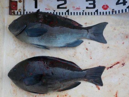
17番クジ
モモ落ち
グレ 32〜45cm
7枚
TAISHIKAI
波多野さん




















