大幸丸
潮流
水温
12月14日
昼〜
11番クジ
オオバエ
フカセ
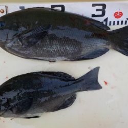
グレ 35〜37cm
2枚
アイ 37〜38cm
2枚
磯波会
青木さん
上り潮
19,4
〜
18,9度
お昼に撤収
14番クジ
ジイ
グレ 30〜40cm
2枚
淡路
弦牧さん
お昼に撤収
タカハシ
32〜35cm
3枚
小松島
長野さん
15番クジ
タドコロ
の横
グレ 34〜40cm
3枚
イサギ 31〜33cm
5枚
アイ 37cm
1枚
徳島市
大西さん




















