寿丸
※2017年12月13日釣果情報
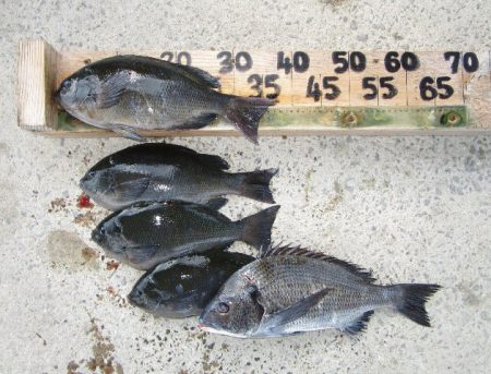
ヘッピリファイターさん クチブトクロ48,5㎝、45㎝、36㎝、35㎝、オナガクロ39㎝、35㎝、33㎝を、フカセ釣りで釣られたそうです。その他、クチブトクロ、オナガクロ30㎝、足裏サイズも釣られたそうですが、リリースされたそうです。 クチブトクロ48,5㎝、45㎝、お見事でした。
緒方さん チヌ45,5㎝、クチブトクロ38,㎝、37㎝、36㎝、34㎝を、フカセ釣りで釣られたそうです。その他、クチブトクロ、オナガクロ30㎝、足裏サイズも釣られたそうですが、リリースされたそうです。 チヌ45,5㎝、、お見事でした。
その他の磯瀬では、フカセ釣りのお客様は、クチブトクロ39,5㎝、36㎝、35㎝、33㎝、オナガクロ37㎝、35㎝、33㎝、足裏サイズ、を釣られたそうですが、小さいサイズはほとんどリリースされたそうです。
正午過ぎからから強風【北北西風】風波がやや高い中、正午過ぎ、最終まで皆さんお疲れ様でした。




















