大幸丸
12月6日
昼〜
3番クジ
センコウテイ
フカセ
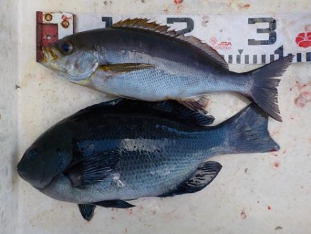
グレ 32〜36cm
10枚
徳島
河野さん
上り気味
20,8
〜
19,2度
ウマノセ
グレ 35〜35cm
3枚
徳島
匿名さん
タワラ
グレ 33cm
1枚
イサギ 33cm
1枚
徳島
樋口さん
7番クジ
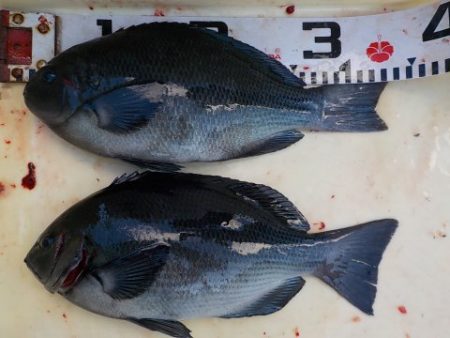
沖フジ
グレ 33〜43cm
11枚
姫路
尾上さん
地フジ
グレ 33〜36cm
4枚
匿名さん
カブト
グレ 33〜43cm
9枚
イサギ 33cm
1枚
姫路
河野さん
ゲンロク
グレ 32〜33cm
2枚
徳島
山中さん


























