寿丸
2017年12月1日 釣果情報
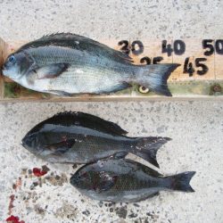
※2017年12月1日釣果情報 桑島さん 【Y】ポイント瀬で、クチブトクロ45㎝を、フカセ釣りで釣られたそうです。 クチブトクロ45㎝、お見事でした。 山中さん 【N】ポイント瀬で、クチブトクロ42,5㎝、38㎝、33㎝を、フカセ釣りで釣られたそうです。その他、クチブトクロ、オナガクロ足裏サイズも釣られたそうですが、リリースされたそうです。 クチブトクロ42,5㎝、お見事でした。 写真はご遠慮しますとの事で、写真撮影は出来ませんでしたが、コメントだけ記載します。 瀬替わり後に【A】ポイント瀬で、クチブトクロ39㎝、35㎝、33㎝、30㎝を、フカセ釣りで釣られてました。
【Q】ポイント瀬で、クチブトクロ37㎝、35㎝、33㎝を、フカセ釣りで釣られてました。その他、クチブトクロ、オナガクロ足裏サイズも釣られたそうですが、リリースされたそうです。尚、オナガクロ(42㎝~45㎝)タモ入れ寸前チモト切れでバラシたそうです。勿体無かったですね、次回、リベンジ頑張られてください。 【U】ポイント瀬で、クチブトクロ38㎝、37㎝、35㎝、33㎝、オナガクロ33㎝。31㎝を、フカセ釣りで釣られてました。 その他の磯瀬では、フカセ釣りのお客様は、クチブトクロ30㎝~35㎝、オナガクロ30㎝、足裏サイズ、を釣られたそうですが、ほとんどリリースされたそうです。尚、オナガクロ【40㎝超え・・・】数回ヒットしたそうなのですが、チモト切れで、残念ながらバラシたそうです。 次回、リベンジ、頑張られてください。 正午、正午過ぎ、最終まで皆さんお疲れ様でした。


















