海山フィッシングセンター
11月28日 筏釣り釣果
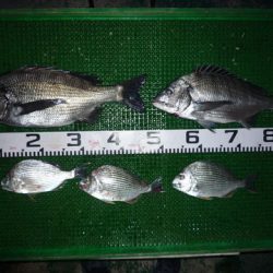
■津市河芸町 高橋様
■チヌ42cm、37cm へダイ<23cm3尾
※現地に釣り禁止の看板のある場所や、釣り禁止エリアでの釣行、路上駐車・ゴミ放置などの迷惑行為はお控え下さい。
※釣行の際は、必ずライフジャケットを着用下さい。
2017-11-28
日中
--
--
若潮
クロダイ(チヌ),ヘダイ
筏チヌ釣り
11月28日 筏釣り釣果
■津市河芸町 高橋様
■チヌ42cm、37cm へダイ<23cm3尾