大幸丸
11月15日
昼〜
3番クジ
沖ソエ
フカセ
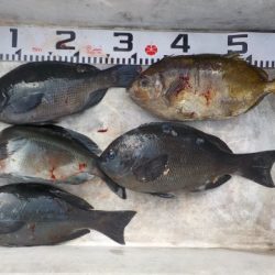
グレ 31〜33cm
4枚
アイ 35cm
1枚
徳島市
河野さん
上り潮
22,8度
※現地に釣り禁止の看板のある場所や、釣り禁止エリアでの釣行、路上駐車・ゴミ放置などの迷惑行為はお控え下さい。
※釣行の際は、必ずライフジャケットを着用下さい。
2017-11-15
日中
--
--
中潮
アイゴ,グレ(メジナ)
フカセ釣り
11月15日
昼〜
3番クジ
沖ソエ
フカセ
グレ 31〜33cm
4枚
アイ 35cm
1枚
徳島市
河野さん
上り潮
22,8度