淡路じゃのひれフィッシングパーク
こんにちは・こんばんは・おはようございます、今朝とても寒かったですね:;((•﹏•๑)));:7時くらいから気温が暖かくなって、釣りやすかったように思います。――――――――――――【一般コース】今日はなによりも朝から青物・タイよく釣られていたように思いますね。1番マスの方でおられた方も3連発モーニング青物!!1番マスだけでなく
4番マスにおられた方もたくさん釣られていました。どのマスもよく釣られていたように思いますねd(‘∀’*)
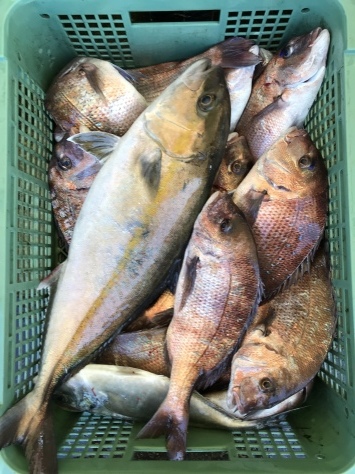
【よく釣られていた方々( -`ω-)✧】神戸市からお越しの矢野さん【釣果】マダイ16匹・カンパチ1匹・シマアジ1匹【えさ】ダンゴのストロング・トマト【釣った場所】こちら↓↓↓1番と2番マス
鳴門市からお越しの林さん 【釣果】マダイ13匹・シマアジ1匹・イサキ2匹 【えさ】ダンゴのストロング 【釣った場所】こちら↓↓↓ 1番マス 生駒市からお越しの山本さん(2名様) 【釣果】マダイ13匹・ハマチ1匹 【えさ】カニ・えび・ダンゴ 【釣った場所】こちら↓↓↓
今日はどのマスもよく釣れていたように思います。
―――――――――――― 【イカダコース】 今日のイカダコースでは全体的まあまあ 釣れていたように思います。GとHマスどちらとも 釣果がいっしょな感じでした。
【1番よく釣られていたのが( -`ω-)✧】 Gマス 鳴門市からお越しの島田さん(2名様) 【釣果】マダイ21匹・シマアジ1匹 【えさ】ストロング・えび・トマト 【釣った場所】こちら↓↓↓ Gマスのすぐ入ったところですね
Hマス 高松市からお越しの長尾さん
【釣果】マダイ8匹・ハマチ1匹・イサキ1匹【えさ】キビナゴ・活きアジ【釣った場所】こちら↓↓↓ 【今日のtop餌】マダイストロング!!
【今日のまとめ】本日は貸し切りもどのマスもよく釣れていたように思います!!これからも頑張ってください💪(‘ω’💪)
お疲れ様でしたm(__)m本日もご来場頂き誠にありがとうございました!!またのお越しをお待ちしております!!以上ジャンでした(*・ω・*)ゞ
































