寿丸
※2017年11月6日釣果情報
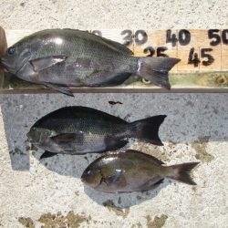
緒里さん 【F】ポイント瀬で、クチブトクロ47,5㎝、33㎝2匹、32㎝を、フカセ釣りで釣られたそうです。その他、クチブトクロ、オナガクロ足裏サイズも釣られたそうですが、リリースされたそうです。 クチブトクロ47,5㎝、お見事でした。
安永さん 【M】ポイント瀬で、クチブトクロ41,5㎝、35,5㎝、オナガクロ30㎝を、フカセ釣りで釣られたそうです。その他、クチブトクロ、オナガクロ足裏サイズも釣られたそうですが、リリースされたそうです。 クチブトクロ41,5㎝、お見事でした。
その他の磯瀬では、フカセ釣りのお客様は、クチブトクロ30㎝~35㎝、オナガクロ足裏サイズ、手の平サイズを釣られたそうですが、ほとんどリリースされたそうです。 ショアジギングのお客様は、アコウ(キジハタ)、アカハタを、釣られたそうです。尚、青物【ヒラス3㎏級】2回ヒットしたそうなのですが、残念ながらバラシたそうです 。次回、リベンジ、頑張られてください。
正午、正午過ぎまで皆さんお疲れ様でした。
















