大幸丸
11月5日
昼〜
3番クジ
タニ
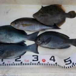
フカセ
グレ 30〜32cm
3枚
イサギ 32cm
1枚
徳島EFC
吉見さん
上り潮
表回り
24,0度
裏周り
20,4度
8番クジ
ヤカタ
グレ 30〜36cm
7枚
イサギ 32cm
1枚
徳島EFC
早見
海里さん
※現地に釣り禁止の看板のある場所や、釣り禁止エリアでの釣行、路上駐車・ゴミ放置などの迷惑行為はお控え下さい。
※釣行の際は、必ずライフジャケットを着用下さい。
2017-11-05
日中
--
--
大潮
イサキ,グレ(メジナ)
フカセ釣り
11月5日
昼〜
3番クジ
タニ
フカセ
グレ 30〜32cm
3枚
イサギ 32cm
1枚
徳島EFC
吉見さん
上り潮
表回り
24,0度
裏周り
20,4度
8番クジ
ヤカタ
グレ 30〜36cm
7枚
イサギ 32cm
1枚
徳島EFC
早見
海里さん