濱田渡船
2017年 11月 02日
今日の釣果
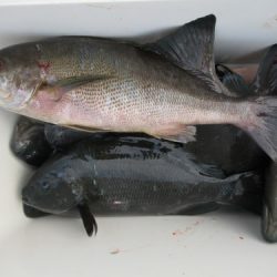
香川県 村川さん 良型グレ 8匹(40cm オーバー) 良型イサキ
ありがとうございました
昨日も釣れてましたが 良い型の イサキ グレが釣れてました
むぎちゃん 冬毛になってきました もこもこです
※現地に釣り禁止の看板のある場所や、釣り禁止エリアでの釣行、路上駐車・ゴミ放置などの迷惑行為はお控え下さい。
※釣行の際は、必ずライフジャケットを着用下さい。
2017-11-02
日中
晴れ
--
中潮
イサキ,グレ(メジナ)
フカセ釣り
2017年 11月 02日
今日の釣果
香川県 村川さん 良型グレ 8匹(40cm オーバー) 良型イサキ
ありがとうございました
昨日も釣れてましたが 良い型の イサキ グレが釣れてました
むぎちゃん 冬毛になってきました もこもこです