ななしさん
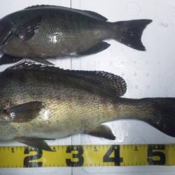
大物狙いで、磯に釣りに行ってきました!!
凄まじいエサ取りでしたが
少しの間、エサ取りが、落ち着いたタイミングで
サンノジやらグレやコロダイが食ってきてくれました!!
※現地に釣り禁止の看板のある場所や、釣り禁止エリアでの釣行、路上駐車・ゴミ放置などの迷惑行為はお控え下さい。
※釣行の際は、必ずライフジャケットを着用下さい。
2017/10/13
夕方
晴れ
快適
小潮
サンノジ 2匹
グレ 42センチ
コロダイ 58センチ
竿2号
道糸4号
エサ オオエビ
浮き釣り
大物狙いで、磯に釣りに行ってきました!!
凄まじいエサ取りでしたが
少しの間、エサ取りが、落ち着いたタイミングで
サンノジやらグレやコロダイが食ってきてくれました!!