幸福丸
チヌ マダイバリ✨
今日もいい釣り日和❕❕
ダゴチンは、順調に釣れてます。
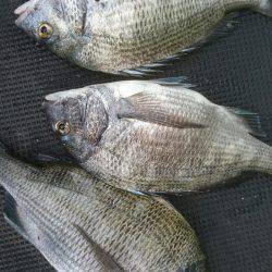
こちらは、昨日の釣果❗
フカセ釣りでも、チヌ狙いで
良型も❕
クロ狙いのお客様も、
ぼちぼちの釣果でした。
※現地に釣り禁止の看板のある場所や、釣り禁止エリアでの釣行、路上駐車・ゴミ放置などの迷惑行為はお控え下さい。
※釣行の際は、必ずライフジャケットを着用下さい。
2017-09-25
--
晴れ
快適
中潮
アイゴ,クロダイ(チヌ)
ダンゴ釣り
チヌ マダイバリ✨
今日もいい釣り日和❕❕
ダゴチンは、順調に釣れてます。
こちらは、昨日の釣果❗
フカセ釣りでも、チヌ狙いで
良型も❕
クロ狙いのお客様も、
ぼちぼちの釣果でした。