千宝丸
9月13日水曜日、アジ、サバ狙い。
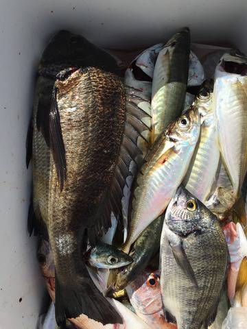
9月13日水曜日、アジ、サバ狙いで6時出船、天候秋晴れ、小潮、今日は香港からの旅行客様からの依頼で出船しましたが何と良く喰いましたね最初は40センチ~50センチのサバ皆さんにヒット、サバの喰いが止まりポイント移動次はヒラアジ入れ食い状態に少し丸アジも混じりましたが楽しんで頂けたと思います他にチダイ、真鯛、チヌなどなど一度ホテルに帰り海賊で食事会ですね、美味しく頂いて下さいね。
香港からの予約有難う御座います、ご乗船有難う御座いました。
































