第一進丸
09/04 釣果
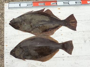
本日もヒラメに出船。
1~4枚、トップ4枚、次3枚、オデコ無し。
0.6~2.6kg 。
台風通過後、底荒れが心配でしたが、
潮色良く、潮流れ悪い中でも
大型のバラシも有り、良大型混じりでオデコも無く、
ソゲも肉厚のヒラメが釣り上がりました。
他、ハタ、シイラ、ワラサ、も釣り上がる。
明日もヒラメに出船。
天気も良く、海もナギ、釣り日和です。
空きがたくさんありますので、
ご予約をお待ち申し上げております。
近々の大板の写真をHPのトップページ に掲示中、ぜひご覧ください
<進丸ニュース>
・ヒラメダービー参加方法をバージョンアップ!! new
・第二回旭市飯岡港初夏のヒラメ釣り大会優勝!! new
・2017年シーズンダービー1位賞品を『選べて』、さらに『パワーアップ』 !!new
・『席取順番札 』を設置いたしました。(夜間、席取りの安全確保のため)
・探していますⅡ!両軸リール・中通し竿・竿掛け!
・お誕生日割引きが更にお得に!!
・クーラーは30 ℓ を中心に35 ℓ まで
・安全、快適に、ミヨシに肘掛け付椅子を設置
・ルアーファンのお客様へ朗報!
・・・ 詳しくはこちらへ
*ライフジャケット乗船時、完全義務化 (2018年2月より)
ライフジャケットを購入して、ご自身の安全の為に、
乗船時には、命を守るアイテムを必ず着用しましょう






















