磯部釣船 直栄丸
26日 伊良湖沖のイシダイ釣り
TEAM名 愛警教(非公認) さんらメンバーさんのイシダイ釣り初挑戦!
朝、いきなりの疾風に見まわれ北西風がやや強い中、ゴロンゴロン状態で頑張って下さいました。
こんな日でしたが魚の活性は高かった。
終始ポツリポツリの喰いでした。
昨日に比べると潮も格段に緩く釣り易く、数をのばせました。
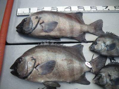
久々にロクマルも2匹GET!
お見事です!
初挑戦でいきなりロクマル! またまた、患者さんが増えてしまいましたね(笑)
全体釣果
イシダイ 30~61センチ 22匹、 手のひらサイズはお持ち帰りになりませんでしたが10匹ほどありました。
「喰う日」「喰わん日」がありますが、魚はまだまだ居そうな感じです。
全員ボウズ無しで、満足釣行となりました。
私も大満足!!(笑)
お疲れ様でした。
ありがとうございました。






















