第一進丸
03/22 釣果
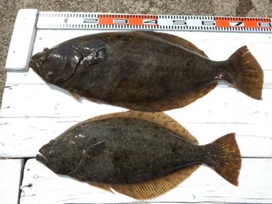
本日もヒラメに出船。
大板上がる76cm、5.4kg 。
肩肉の盛り上がった幅広の特肉厚東京ドーム型。
トップ76cm、次、58cm、56cm、56cm、と
大型数上がる 。
0.4~5.4kg、2~4枚、
北寄りの風強い中でしたが、ヒラメ釣りに影響は無く、
船流れ良く、良い条件で
数、型、共揃って良大型が釣り上がりました。
他、大型のクロソイも釣り上がる。
明日もヒラメに出船。
潮色良く、潮温高く、良い釣況ですので、
ご予約をお待ち申し上げております。
ヒラメ釣りも今シーズン終盤となり、3月いっぱいですので、
ご都合の付くお客様は、是非お出かけください。
ご乗船をお待ち申しております。


















