第一進丸
03/01 釣果
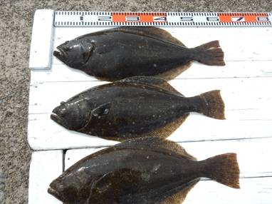
本日もヒラメに出船。
0.6~3.0kg、1~7枚 、
いずれも肩肉の盛り上がった特肉厚東京ドーム型が、
釣れ上がり、トップ7枚、次5枚、3枚が3人 、
お刺身に十分なサイズのヒラメが数釣り上がりました。
お1人で合計10kg程も釣り上げられた 、
お客様もおられました。
明日は天気予報悪く、雨も強い予報ですので
お休み致します。
明後日3日(金)は天候も回復し、
北西の適度な風も望めるようです ので、
ヒラメ釣りに出船致します。
ご予約をお待ち申し上げております。
<進丸ニュース>
・『席取順番札 』を設置いたしました。(夜間、席取りの安全確保のため)
・指先、じんわり あったか~い ” 指暖” ヒラメ釣り!
・探していますⅡ!両軸リール・中通し竿・竿掛け!
・お誕生日割引きが更にお得に!!
・クーラーは30 ℓ を中心に35 ℓ まで
・安全、快適に、ミヨシに肘掛け付椅子を設置
・ルアーファンのお客様へ朗報!
・・・ 詳しくはこちらへ
ご自身の安全の為に、乗船時には、
命を守るアイテムのライフジャケットを必ず着用しましょう
自動膨張式ライフジャケットは
ボンベの点検(期限)を忘れずに、必ずチェックしてください。
















