第一進丸
2/28 釣果
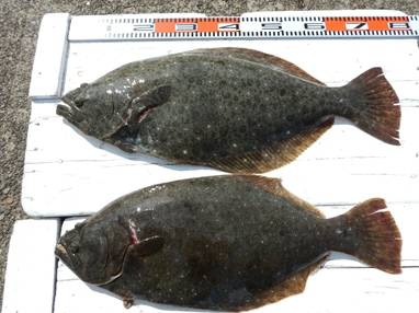
本日もヒラメに出船。
大板、大板絡みで4枚上がる、75cm、6.2kg 、
次71cm、5.3kg、次67cm、次66cm 、
60cm、57cm、55cm、といずれも同じく、
肩肉の盛り上がった幅広の特肉厚東京ドーム型 が
釣り上がりました。
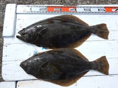
0.7~6.2kg、ソゲは少なく、良大型が揃いました。
0~4枚、4枚が2人、3枚が3人、2枚が多数。
オデコが消えず残念。
明日もヒラメに出船。
天気良く、空きがたくさんありますので、
ご予約をお待ち申し上げております。
<進丸ニュース>
・『席取順番札 』を設置いたしました。(夜間、席取りの安全確保のため)
・指先、じんわり あったか~い ” 指暖” ヒラメ釣り!
・探していますⅡ!両軸リール・中通し竿・竿掛け!
・お誕生日割引きが更にお得に!!
・クーラーは30 ℓ を中心に35 ℓ まで
・安全、快適に、ミヨシに肘掛け付椅子を設置
・ルアーファンのお客様へ朗報!
・・・ 詳しくはこちらへ
ご自身の安全の為に、乗船時には、
命を守るアイテムのライフジャケットを必ず着用しましょう
自動膨張式ライフジャケットは
ボンベの点検(期限)を忘れずに、必ずチェックしてください。
































