第一進丸
02/08 釣果
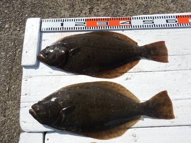
本日もヒラメに出船。
0.4~2.2kg、0~3枚 、
3枚が1人、2枚が5人、オデコが消えず残念でした。
他、大型カサゴも上がる。
明日もヒラメに出船。
空きがたくさんありますので、
ご予約お待ち申し上げております。
<進丸ニュース>
・『席取順番札 』を設置いたしました。(夜間、席取りの安全確保のため)
・指先、じんわり あったか~い ” 指暖” ヒラメ釣り!
・探していますⅡ!両軸リール・中通し竿・竿掛け!
・お誕生日割引きが更にお得に!!
・クーラーは30 ℓ を中心に35 ℓ まで
・安全、快適に、ミヨシに肘掛け付椅子を設置
・ルアーファンのお客様へ朗報!
・・・ 詳しくはこちらへ
ご自身の安全の為に、乗船時には、
命を守るアイテムのライフジャケットを必ず着用しましょう
自動膨張式ライフジャケットは
ボンベの点検(期限)を忘れずに、必ずチェックしてください。
















