第一進丸
01/31 釣果
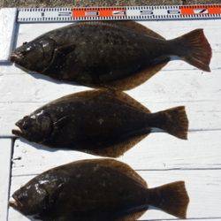
本日もヒラメに出船。
大板2枚上がる。70cm、5.3kg。63cm、4.2kg。
いずれも幅広で肩肉の盛り上がった特肉厚東京ドーム型
次、61cm、61cm、60cm、57cm、56cm、55cm、、、、
と、良大型が数釣り上がり、
全員、1.5kg以上の良い型を釣り上げられ、
2~4枚、4枚が2人、3枚が2人、
他、アイナメ、大型クロソイも釣り上がる。
明日もヒラメに出船。
潮色良く、潮温も16℃台と高く、
良い状況です。
ご都合の付くお客様は
ご予約をお待ち申し上げております。
<進丸ニュース>
・『席取順番札 』を設置いたしました。(夜間、席取りの安全確保のため)
・指先、じんわり あったか~い ” 指暖” ヒラメ釣り!
・探していますⅡ!両軸リール・中通し竿・竿掛け!
・お誕生日割引きが更にお得に!!
・クーラーは30 ℓ を中心に35 ℓ まで
・安全、快適に、ミヨシに肘掛け付椅子を設置
・ルアーファンのお客様へ朗報!
・・・ 詳しくはこちらへ
ご自身の安全の為に、乗船時には、
命を守るアイテムのライフジャケットを必ず着用しましょう
自動膨張式ライフジャケットは
ボンベの点検(期限)を忘れずに、必ずチェックしてください。
























