第一進丸
01/08 釣果
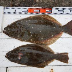
本日もヒラメに出船。
2船の釣果。0.4~3.4kg、
トップ61cm、次58cm、2kg以上が5枚 、
いずれも、肩肉の盛り上がった
幅広の特肉厚東京ドーム型。
0~9枚、トップ9枚、次5枚、3枚が多数、、、
朝から潮流れず、船流れ悪く、拾い釣りの状況でしたが、
ポツポツと良い型混じりで釣れ上がり、
他に特大のクロメバル、クロソイ、アイナメ、ホウボウも
釣り上がりました。
明日は海模様悪く、出船を中止致しました。
10日(火)、11日(水)と
月1回の定休日を絡めてお休み致しますが、
12日(木)は天気予報も良く、
ヒラメに出船予定です ので、
ご予約をお待ち申し上げております。
<進丸ニュース>
・指先、じんわり あったか~い ” 指暖” ヒラメ釣り!
・探していますⅡ!両軸リール・中通し竿・竿掛け!
・お誕生日割引きが更にお得に!!
・クーラーは30 ℓ を中心に35 ℓ まで
・安全、快適に、ミヨシに肘掛け付椅子を設置
・ルアーファンのお客様へ朗報!
・・・ 詳しくはこちらへ
ご自身の安全の為に、乗船時には、
命を守るアイテムのライフジャケットを必ず着用しましょう
自動膨張式ライフジャケットは
ボンベの点検(期限)を忘れずに、必ずチェックしてください。


























