Hit Rush(ヒット ラッシュ)
2016/12/12(月) 釣果情報
今日は青物オンリーで行ってきました。
あちこちウロウロしてみましたが、反応あってもアタリなくサッパリであきませんでした
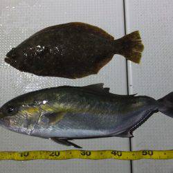
釣果は、カンパチ 65cm(曲がってました)、ヒラメ 48cmでした。
寒い中、最後まで頑張って頂きましたが、釣果出ず申し訳ありません。
本日はお疲れ様でした。
090-9177-8625














