Hit Rush(ヒット ラッシュ)
2016/11/17(木) 釣果情報
今日はジギングとタイラバで行ってきました。
ジギングの青物は本命のアタリはなく、撃沈でした
タイラバもショートバイトばかりで、なかなかヒットしてくれず、こちらも厳しい1日でした
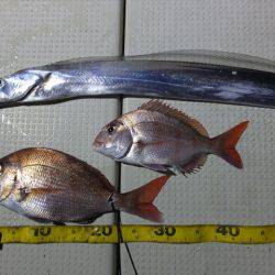
釣果は、マダイ 2匹、タチウオでした。
最後まで頑張って頂きましたが、寂しい釣果になってしまい、申し訳ありません。
本日はお疲れ様でした。
090-9177-8625














