第一進丸
10/26 釣果
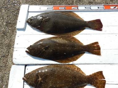
本日もヒラメに出船。
62cm、59cm、57cm、57cm、、、
いずれもエサをたっぷり食べた特肉厚のヒラメで、
2.5kg以上が5枚、と大型数釣れました。
トップ7枚、次4枚が3人 、オデコは1人、
ウネリが有り、アタリがあるものの、釣果に繋がらず残念でした。
明日もヒラメに出船。
北寄りの風やや強い予報ですが、
飯岡前は崖上(屏風ヶ浦)からの風となるため、
ヒラメ釣りに影響無く、船も流れて良いコンディションとなります。
空きがたくさんありますので、
ご予約お待ち申し上げております。
0479-57-6668


























