年間1000匹
久しぶりに仕事終りにちょっとだけキス釣りに。今週はまた暑さが戻ってきていたので海の様子はよくないかも・・・と思いながらのスタート。
濁りはなし。波は少し。
しかし、今日はかかるキスがちいさい!10センチないくらいのがかかる。
リリースに努めるが、ガッツリ針がかかったのは仕方ないので持ってかえる。
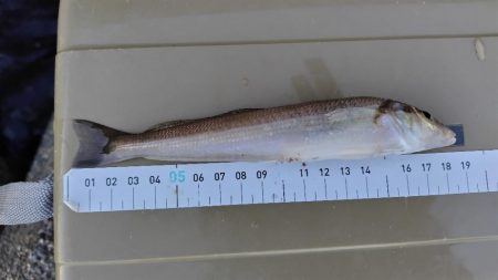
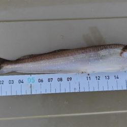
18〜19センチ級がなんとか二匹釣れたけど、今日はキスの元気がない。サイズの割に全部引きが弱い。
しかも、ゆっくりサビくとあたりすらない。
ちょっと早めにサビクといつの間にかかかっている。短時間でサイズも数も満足感無し!明日もリベンジします。


















