年間1000匹
夕方、少し気温が下がってから少しだけキス釣りに。
最近雨もふらず、気温も高い状態が続いていたからか、水温もかなり高い感じ。
ここまで高いと近くでは釣れなさそうなので投げ竿で勝負。
あまり上手に投げられないのですが、それでも磯竿よりは飛距離は出ます。
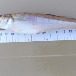
予想通り、結構遠目であたりが連発。しかも今日は17センチ前後が中心でかなり楽しい。
抱卵している個体が多く丸々と太っていてサイズ以上に元気。
1時間ほどで12匹。今日は六時前に満潮でその後はピタリと当たりが止まったので終了。


















