※現地に釣り禁止の看板のある場所や、釣り禁止エリアでの釣行、路上駐車・ゴミ放置などの迷惑行為はお控え下さい。
※釣行の際は、必ずライフジャケットを着用下さい。
越前さば
Loading...
いいねしたユーザー(件)
釣行日
2022/06/03
時間
朝
天気
晴れ
気温
やや暑い
潮
中潮
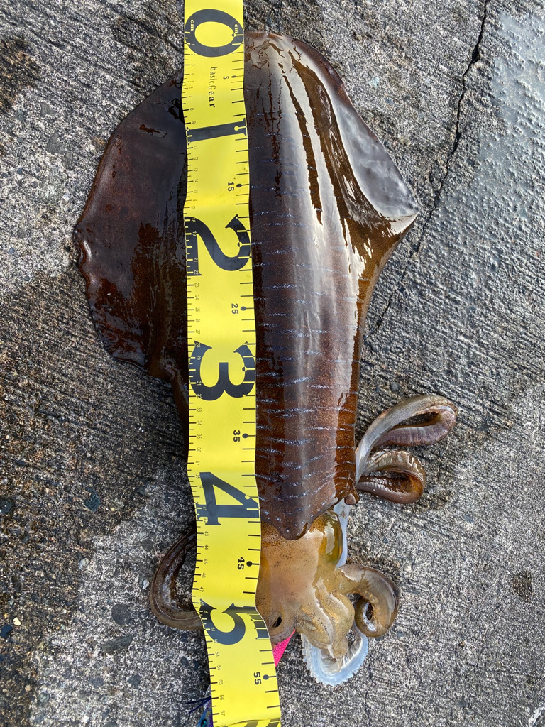
釣果
アオリイカ2.2キロ
タックル
17エメラルダスAir73MI
21エメラルダスFC2500s
えぎ人0.5号
釣り方
エギング















