※現地に釣り禁止の看板のある場所や、釣り禁止エリアでの釣行、路上駐車・ゴミ放置などの迷惑行為はお控え下さい。
※釣行の際は、必ずライフジャケットを着用下さい。
ふくさん
Loading...
いいねしたユーザー(件)
釣行日
2022/03/16
時間
夕方
天気
晴れ
気温
快適
潮
大潮
釣果
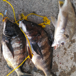
チヌ48センチ、チヌ40センチ、キビレ42センチ
タックル
黒鯛工房ヘチリール
黒鯛工房軟調ヘチ竿
ミチイト1.5 ハリス1.25
ハリ グレ針3号
釣り方
前打ち


















