寿丸
2021年12月29日釣果情報
堤さん クチブトクロ47㎝、41㎝、34㎝、30㎝を、フカセ釣りで釣られたそうです。
その他、足裏サイズも釣られたそうですが、リリースされたそうです。
釣られた魚(クチブトクロ)頂きました、ありがとうございました
クチブトクロ47㎝、41㎝、お見事でした。
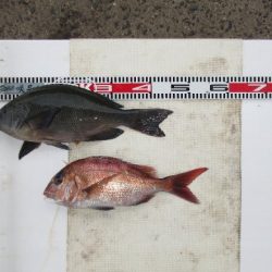
町さん クチブトクロ46,5㎝、33㎝、30㎝、オナガクロ30㎝、真鯛44㎝を、フカセ釣りで釣られたそうです。その他、足裏サイズも釣られたそうですが、リリースされたそうです。
釣られた魚(クチブトクロ、オナガクロ)お裾分け頂きました、ありがとうございました
クチブトクロ46,5㎝、真鯛44㎝、お見事でした。
その他の磯瀬では、フカセ釣りのお客様は、クチブトクロ35㎝、33㎝、30㎝、オナガクロ30㎝級~足裏サイズを、釣られたそうです。小ぶりの魚はリリースされたそうです。
やや強風【南東風西風】風波、うねり波が高い中、東側磯瀬全域正午過ぎまで釣行、厳しい状況でした。正午過ぎ、最終まで皆さんお疲れ様でした。




















