大幸丸
10月24日
4番クジ
9時〜
タワラ
フカセ
グレ36cm
1枚
徳島EFC
吉見さん
上り潮
25,3度
9時〜
ホリモン
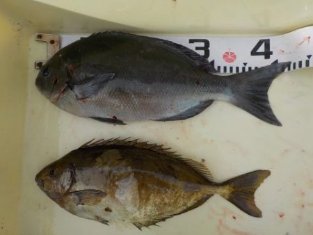
グレ42cm
1枚
アイゴ38cm
1枚
徳島EFC
板東さん
7番クジ
9時〜
バッタリ
グレ30〜34cm
2枚
イサギ34cm
1枚
徳島EFC
江頭さん
15番クジ
9時迄
タドコロ
高
グレ34cm
1枚
アイゴ30〜33cm
2枚
徳島EFC
豊永さん
16番クジ
スベリ
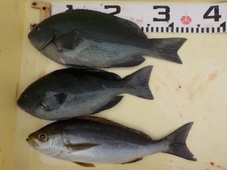
グレ30〜35cm
5枚
イサギ28cm
1枚
徳島EFC
福永さん
巨人
グレ30cm
1枚
イサギ27〜34cm
3枚
アイゴ28cm
1枚
徳島EFC
早見さん
























