サウス
大阪湾 遊漁船SOUTH(サウス)
6/13チャーター便釣果
本日はノマセ&カサゴ&大アジ狙いのプランで出船させて頂きました。
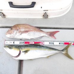
まずはノマセ釣りからスタートさせて頂き、開始早々真鯛がヒット!続いてまたノマセに真鯛!すかさず鯛ラバをされた方にも真鯛がヒットと一瞬嬉しいヒットが続きましたがその他の魚のヒットが無いのでポイント移動。
ポイント移動中に少し青物のボイルを発見しジギング・キャスティング・ノマセと試して頂き、ノマセの方にメジロ・ハマチ・真鯛とまた一瞬のプチ時合すぐに潮が変わりアタリが無くなってしまい、ノマセの餌も無くなってしまったのでカサゴ狙いに変更させて頂きました。
カサゴ狙いでは開始早々から皆様順調に釣られ十分な数を釣って頂く事が出来たので残り時間は大アジ狙いに変更させて頂きました。
大アジ狙いでは、開始後しばらくはたまに中アジがポロポロ釣れる感じて勢いなく、今日の時合は終了時刻までに間に合わないかと思いましたが、終了時刻30分前ぐらいから良型の大アジがバタバタと釣れ出し、一気に数を伸ばして頂く事が出来ました
まだまだ大アジは釣れそうでしたが、終了時刻になったので納竿とさせて頂きました。
本日は途中大雨の降る中もくじけす最後まで頑張って釣って頂きありがとうございました。
またのご乗船お待ちしておりますm(_ _)m
皆様からのご予約お待ちしておりますのでお気軽にお問い合わせ下さいm(_ _)m
詳しくはホームページをご覧下さい
SOUTHホームページ
https://www.south-fishing.com/
#関西 #大阪 #アジ #カサゴ #ガシラ #サバ #イナダ #ハマチ #マダイ #ワラサ #メジロ #ジギング #胴突き #サビキ #泳がせ #のませ




















