寿丸
2021年5月9日釣果情報
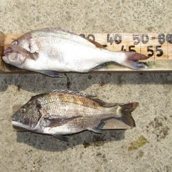
※2021年5月9日釣果情報 匿名(Y)さん 真鯛54㎝、チヌ45㎝を、フカセ釣りで釣られたそうです。その他、オナガクロ30㎝~足裏サイズも釣られたそうですが、リリースされたそうです。真鯛54㎝、チヌ良型45㎝、お見事でした。 吉田さん クチブトクロ42㎝、36㎝6枚、33㎝、オナガクロ31㎝を、フカセ釣りで釣られたそうです。その他、オナガクロ30㎝~足裏サイズも釣られたそうですが、リリースされたそうです。クチブトクロ良型42㎝、お見事でした。 鬼塚さん クチブトクロ42㎝、37㎝、30㎝を、フカセ釣りで釣られたそうです。その他、オナガクロ30㎝~足裏サイズも釣られたそうですが、リリースされたそうです。釣られたお魚【クチブトクロ】頂きました、ありがとうございました。クチブトクロ良型42㎝、お見事でした。 力さん クチブトクロ38㎝、37㎝、36㎝、35㎝~33㎝、オナガクロ33㎝~31㎝、イサキ36㎝を、フカセ釣りで釣られたそうです。その他、オナガクロ30㎝~足裏サイズも釣られたそうですが、リリースされたそうです。クチブトクロ38㎝頭に、数釣り爆釣、イサキ、お見事でした。 その他の磯瀬では、フカセ釣りのお客様は、クチブトクロ37㎝、36㎝、35㎝、33㎝~30㎝、オナガクロ33㎝、30㎝級~足裏サイズを、釣られたそうです。小ぶりの魚はリリースされたそうです。 フカセ釣りの複数お客様で、タックルは、クロ仕掛け(ハリス2号~3号)で、青物?【70㎝超え・・・】【真鯛65㎝~70㎝級】複数回ヒットしたそうなのですが、残念ながらバラシ【ライン高切れ】たそうです。次回、リベンジ、頑張られてください。 ショアジギングの複数お客様で、ヒラスズキ55㎝~60㎝級、複数回ヒットしたそうですが、エラ洗いでバラシたそうです。次回、リベンジ、頑張られてください。 うねり波が高くて、貝瀬近辺、当番瀬釣行出来たのが【18番瀬・20番瀬・22番瀬】満潮時間から約3時間後の、9時30分過ぎに波裏からの移動となりました。 うねり波が、高い中、正午過ぎ、最終まで皆さんお疲れ様でした。




















