泉州丸
Loading...
いいねしたユーザー(件)
遊漁船
大阪泉南岬町小島漁港
080-3813-9457
※ご予約のお電話は7〜20時まで受付
https://senshumaru.jimdoweb.com
080-3813-9457
※ご予約のお電話は7〜20時まで受付
https://senshumaru.jimdoweb.com
釣行日
2021/4/23
時間
朝
天気
--
気温
--
釣果
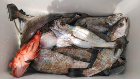
肖 様 クログチ50cmまで 10匹 他ガシラなど
●他にはクログチ68cmや40~50cm前後がぼちぼち釣れていました。
釣り方
エサ釣り






















