寿丸
2021年3月26日釣果情報
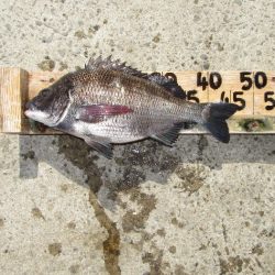
※2021年3月26日釣果情報 町さん チヌ53㎝、47㎝を、フカセ釣りで釣られたそうです。その他、小鯛(35㎝、33㎝)も釣られてました。釣られたお魚【チヌ2枚】頂きました、ありがとうございました。チヌ良型53㎝、良型47㎝、お見事でした。 中村さん クチブトクロ40㎝を、フカセ釣りで釣られたそうです。その他、チヌ40㎝も釣られてました。釣られたお魚【チヌ1枚】頂きました、ありがとうございました。クチブトクロ良型40㎝、チヌ40㎝、お見事でした。 その他の磯瀬では、フカセ釣りのお客様は、チヌ45㎝~40㎝、クチブトクロ33㎝~30㎝、オナガクロ30㎝級~足裏サイズを、釣られてました。チヌ、小ぶりの魚はリリースされたそうです。 フカセ釣りのお客様で、真鯛【70㎝級】ヒットしたそうなのですが、残念ながらバラシ【ライン高切れ】たそうです。次回、リベンジ、頑張られてください。 ※お裾分け頂いたお魚、後日、炙り刺身【チヌ】にして釣行されたお客様、お土産にお渡ししょうと思います。 正午過ぎ、最終まで皆さんお疲れ様でした。


















